Beschrijving
Prachtig gelegen bouwgrond (1174 vierkante meter) in een rustige groene omgeving.
Op wandelafstand en in de nabije omgeving van het Nationaal Park Bosland, Uitkijktoren de Reus van Bosland, startplaats van verschillende wandelroutes, het sportcomplex, het voetbalstadion en kortbij het ziekenhuis en centrum gelegen.
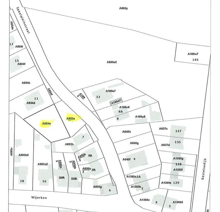
Vrij te bezichtigen: Speelpleinstraat tussen nr 7 en 11 te Lommel.
Prijs: 298 000€
Open bebouwing
Grondoppervlakte: 1174 vierkante meter
Stedenbouwkundige vergunning: neen
Dagvaarding uitgebracht: neen
Voorkooprecht op dit goed: neen
Overstromingsgebied: neen
P-score: A
Voor inlichtingen en biedingen gelieve ons te contacteren via mail op onderstaand mailadres:
annenlievemertens@outlook.com
Op wandelafstand en in de nabije omgeving van het Nationaal Park Bosland, Uitkijktoren de Reus van Bosland, startplaats van verschillende wandelroutes, het sportcomplex, het voetbalstadion en kortbij het ziekenhuis en centrum gelegen.
Vrij te bezichtigen: Speelpleinstraat tussen nr 7 en 11 te Lommel.
Prijs: 298 000€
Open bebouwing
Grondoppervlakte: 1174 vierkante meter
Stedenbouwkundige vergunning: neen
Dagvaarding uitgebracht: neen
Voorkooprecht op dit goed: neen
Overstromingsgebied: neen
P-score: A
Voor inlichtingen en biedingen gelieve ons te contacteren via mail op onderstaand mailadres:
annenlievemertens@outlook.com
...
...
...
...
...
...
...
...
...
...
...
...
Rillaar
353x bekeken
0x bewaard
Sinds 29 okt '25
Zoekertjesnummer: m2327964232
Populaire zoektermen
bosgrond te koopGronden en Bouwgrondenweide te koopbouwgrond boslommelte koop essenbouwgrond hechtelbos te koop ardennenrecreatiegrond te koopbouwgrond breebouwgrond molprojectgrond te koopbouwgrond met weidemanege te koopseat ibiza 2015 in Seatvolvo v50 in Spiegelsvirtufit in Fitnessapparatuurdigikeijs in Modeltreinen | H0cora kemperman in Jurkencampagnolo crankset in Fietsen | Racefietsenantieke bloempot in Antiek | Porselein125 cc neco in Scooters | Overige merkenlento in Vinyl | Klassiekhandmade in Woonaccessoires | Vazen