Kenmerken
Grondoppervlakte
1500 m² of meer
Plaatsnaam
Balen
Beschrijving
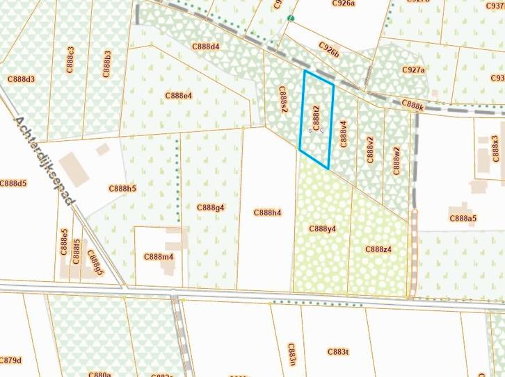
Bosgrond te koop : perceel C888 T2 te Balen Wolfsdonken
15a12
Te bereiken o.a . via Schoorheide – richting Wolfsdonk 17 – einde gravel weg links
Ligging : zie foto’s uit CadGIS
Verdere info te bekomen via chat.
Zie ook mijn perceel V2 dat een 20 m verder ligt
Het is een gemengd bos met van alles wat door elkaar geplant en (wild-) gegroeid met de jaren.
Een kapvergunning kan kosteloos aangevraagd worden bij de milieudienst. Bosdunning op zich is toegelaten en ter plaatse te bespreken met de bosgroep welke bomen men wil kappen na de verkoop.
Het eerste bos 888V2 begint, tellende vanaf het einde van de onverharde weg, op 4.3 + 19.0 = 23.3 m. Dat stuk is zelf 20.8 m lang. Vervolgens een ander bos niet mijn eigendom een stuk van 20.3 m. En daarna begint perceel 888T2 dat 23.6 m lang is.
Verdere info te bekomen via chat.
15a12
Te bereiken o.a . via Schoorheide – richting Wolfsdonk 17 – einde gravel weg links
Ligging : zie foto’s uit CadGIS
Verdere info te bekomen via chat.
Zie ook mijn perceel V2 dat een 20 m verder ligt
Het is een gemengd bos met van alles wat door elkaar geplant en (wild-) gegroeid met de jaren.
Een kapvergunning kan kosteloos aangevraagd worden bij de milieudienst. Bosdunning op zich is toegelaten en ter plaatse te bespreken met de bosgroep welke bomen men wil kappen na de verkoop.
Het eerste bos 888V2 begint, tellende vanaf het einde van de onverharde weg, op 4.3 + 19.0 = 23.3 m. Dat stuk is zelf 20.8 m lang. Vervolgens een ander bos niet mijn eigendom een stuk van 20.3 m. En daarna begint perceel 888T2 dat 23.6 m lang is.
Verdere info te bekomen via chat.
...
...
...
...
...
...
...
...
...
...
...
...
Lommel
949x bekeken
5x bewaard
Sinds 27 nov '25
Zoekertjesnummer: m2338942640
Populaire zoektermen
bosgrond te koopGronden en Bouwgrondenbosgrondbalenperceel met visvijverbosgrondgrond balenbosgrond te koophuis te huur balenbosgrond te koopbouwgrondenbouwgrond balenbalen huur in Appartementen en Studio's te huurchalet balen in Buitenverblijven te koopmercedes actros in Vrachtwagensbridgewater in Kinderboeken | Jeugd | 13 jaar en oudermoto remork in Aanhangers en Bagagewagensbmw x5 2008 in BMWaudi a4 avant tfsi in Audicd rek in Merken en Reclamevoorwerpensnoek in Hengelsport | Roofvissenstockmans in Antiek | Brons en Koperdiepenbeek in Honden-accessoiresmoteur yanmar in Machines en Bouw | Kranen en Graafmachines